GLT SC1 Solar, LLC - Granite
The Granite park system is a group of nine elevated arrays that total 904kW. This system provides solar services under a private contract.
Project Size: ~904 kW
Start of Construction: October 2011
Date of Interconnection: January 2012
Technology:
~3850 Shanghai Chaori 60-cell High-Efficiency Poly-Si Solar Panels
Mounting Solution:
fixed elevated array mounting systems
Location:
Sacramento, CA
Estimated Annual Power Production: 1,446,400 kWh/yr
Estimated Annual CO2 Offset: 3,182,080 lbs/yr


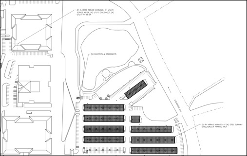
Elevated Arrays above parking area

System layout.
Project Size: ~904 kW
Start of Construction: October 2011
Date of Interconnection: January 2012
Technology:
~3850 Shanghai Chaori 60-cell High-Efficiency Poly-Si Solar Panels
Mounting Solution:
fixed elevated array mounting systems
Location:
Sacramento, CA
Estimated Annual Power Production: 1,446,400 kWh/yr
Estimated Annual CO2 Offset: 3,182,080 lbs/yr


Elevated Arrays above parking area

System layout.
